HGL Acquisition Terminal
HGL Acquisition Terminal (HGLAcqTerminal.exe) is a program that allows users to communicate with various HGL hardware, such as our Dragonfly, Hummingbird, and Syncbox devices. The program can be used to configure HGL hardware, or be used to assist in the diagnosis of issues, the most common of which being an incorrect IP Address or Subnet Mask.
User Interface (from version 1.0.65.0)

- Devices - This lists all connected devices that match the IP Address and Subnet Mask of the BLACK network. Devices visible here should also be able to be seen in HawkGUI. Selecting a device from this list will allow you to input commands using the Command Line.
- Command Line - Here is where you are able to input commands for HGL hardware configuration or troubleshooting.
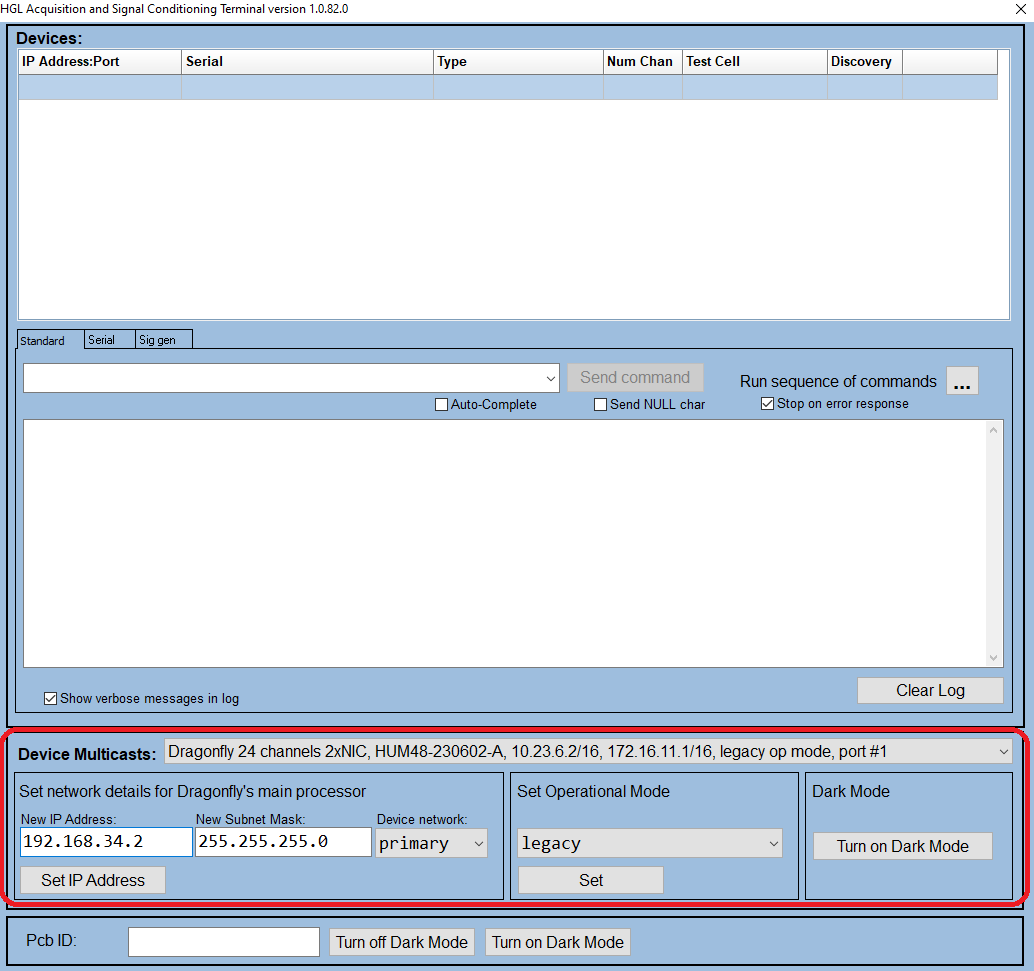
- Device Multicasts - This drop down list will show any connected HGL devices. Devices that show up here may not have the correct IP Address or Subnet Mask. Selecting a device from the drop down will allow you to change the device's IP Address and Subnet mask.
- Network Details - This area allows you to set the IP Address and Subnet mask of the device selected in the Device Multicasts drop down.
User Interface (version 1.0.43.0 to version 1.0.64.0)

- Device - This drop down list has all connected devices that match the IP Address and Subnet Mask of the BLACK network. Devices visible here should also be able to be seen in HawkGUI. Selecting a device from this list will allow you to input commands using the Command Line.
- Command Line - Here is where you are able to input commands for HGL hardware configuration or troubleshooting.
- Device Multicasts - This drop down list will show any connected HGL devices. Devices that show up here may not have the correct IP Address or Subnet Mask. Selecting a device from the drop down will allow you to change the device's IP Address and Subnet mask.
- Network Details - This area allows you to set the IP Address and Subnet mask of the device selected in the Device Multicasts drop down.
User Interface (prior to version 1.0.43.0)

- Device Info - This drop down list has all connected devices that match the IP Address and Subnet Mask of the BLACK network. Devices visible here should also be able to be seen in HawkGUI. Selecting a device from this list will allow you to input commands using the Command Line.
- Command Line - Here is where you are able to input commands for HGL hardware configuration or troubleshooting.
- Device Multicasts - This drop down list will show any connected HGL devices. Devices that show up here may not have the correct IP Address or Subnet Mask. Selecting a device from the drop down will allow you to change the device's IP Address and Subnet mask.
- Network Details - This area allows you to set the IP Address and Subnet mask of the device selected in the Device Multicasts drop down.
Changing the IP/Subnet Mask of a single Device
If a device is showing up in the Device Multicasts drop down list, but not in the Devices list, then it may have an incorrect IP/Subnet Mask. To change it to a valid IP/Subnet Mask, start by selecting the device from the Device Multicasts drop down list.

Once the device has been selected, the user will need to input a valid IP address and Subnet Mask. For this example, the BLACK network will be using the IP address of 192.168.34.100, and 255.255.255.0 is the Subset mask.

For the device, the IP address 192.168.34.x is a valid IP address, with x being any unused number between 1 and 255. Since the BLACK network is using 192.168.34.100, the device cannot use 100 as the final number in the IP address. In this example, the IP address will be set to 192.168.34.2. The Subnet mask must be the same for both the BLACK network and the device, which is 255.255.255.0 in this instance.
*Note - DO NOT change the IP Address of any device to 127.0.0.x Setting a device to this IP Address will require the device be sent in for repair.

Once the desired valid IP address and Subnet mask have been typed in, click on the 'Set IP Address' button. A dialogue box will appear after clicking the 'Set IP Address' button.

Simply click 'OK' and the changes will be applied. The changes are usually applied in less than a minute. If for some reason the changes are not being applied, you may need to power cycle the device. After the changes have been applied, the device should appear in the Devices list.

To verify that HGLAcqTerminal is able to communicate with the device, the user should select it from the Devices list (pre 1.0.65.0, select the device from the Device drop down list). Type the 'id' command in the Command Line and click the 'Send command' button.

If the device can be communicated with, the command should return the device's serial number and the IP address as seen above.
Changing the IP/Subnet Mask of a Device with Multiple Dragonfly Cards (or Multiple Devices)
The process for changing the IP address and Subnet Mask of a device with multiple Dragonfly cards is very similar to changing the IP address and Subnet Mask of a single device, with only a couple of notable differences.
For this example, we will be using a Hummingbird48, a device with three separate internal cards. Inside of the Device Multicasts dropdown, we can see that there are three different options listed. To start, we will take the first internal card (HUM48-230602-A), and change it's IP address and Subnet Mask to a valid one for the BLACK network. Begin by selecting the first internal card from the drop down.

Once selected, simply input a valid IP address and Subnet Mask. In the example, the BLACK network is currently set to an IP address of 192.168.34.100, and a Subnet Mask of 255.255.255.0. For the device, the IP address 192.168.34.x is a valid IP address, with x being any unused number between 1 and 255 (we will be using the number 2 for the first card). Since the BLACK network is using 192.168.34.100, the device cannot use 100 as the final number in the IP address. The Subnet mask must be the same for both the BLACK network and the device, which is 255.255.255.0 in this instance.
*Note - DO NOT change the IP Address of any device to 127.0.0.x Setting a device to this IP Address will require the device be sent in for repair.
**Note - In the Device Multicasts drop down list, some devices/cards may have two listed IP Addresses. The first IP Address is the IP Address of the device/card. The second IP Address is static, and does not need to be changed by the user.

Once the desired valid IP address and Subnet mask have been typed in, click on the 'Set IP Address' button. A dialogue box will appear after clicking the 'Set IP Address' button.

Simply click 'OK' and the changes will be applied. The changes are usually applied in less than a minute. If for some reason the changes are not being applied, you may need to power cycle the device. After the changes have been applied, the first card should appear in the Devices list.

Repeat the prior steps for all remaining cards in a device. Each individual card and device must have a unique IP Address*. For example, the first card (HUM48-230602-A) has an IP Address of 192.168.34.2, and the BLACK network has an IP Address of 192.168.34.100. This means the second card (HUM48-230602-B), and third card (DF48PWR-230204), must not use 2 or 100 as their final number.
*Note - DO NOT change the IP Address of any device to 127.0.0.x Setting a device to this IP Address will require the device be sent in for repair.
We typically recommend using sequential IP Addresses for units with multiple cards to ease confusion. In this instance, we will be setting the IP Address of the second card (HUM48-230602-B) to 192.168.34.3, and the IP Address of the third card (DF48PWR-230204) to 192.168.34.4. Remember, the Subnet Mask must be identical on all cards and devices, so it will be set to 255.255.255.0 on the remaining cards to match the BLACK network, and the first card (HUM48-230602-A).
Once all cards have been set to a valid IP Address and Subnet Mask, you should be able to see all of them present in the Devices list. To execute commands, you can select a specific card by clicking on it in the Devices list. The selected device should be highlighted in blue. In the screenshot below, the second card (HUM48-230602-B) is selected as can be seen by the blue color, and the 'id' command returning the serial number and IP Address of the second card.

Commands
There is an extensive list of commands for use in HGLAcqTerminal. Below is a list of the most notable commands.
id - Returns the serial number and IP address of all connected units.
nsav - Saves and applies any values previously changed with commands.
nlip - Returns/sets the device's IP address.
nmsk - Returns/sets the device's Subnet Mask.
reset - Reboots the device. This is a brute-force hardware reset, and should be using sparingly.
tsrc - Returns/sets a value representing the currently selected timesource. The corresponding timesources and values can be seen in the table below.
| Value | Timesource (Syncbox) | Timesource (V5 Devices) |
| 0 | GPS | GPS |
| 1 | IRIG1 (internal) | IRIG (internal) |
| 2 | IRIG2 (external) | IRIG (internal) |
| 3 | RS232 (NMEA, Meinberg) | IEEE1588 (PTP) |
Scripts
Scripts allow you to execute multiple commands inside of HGL Acq Terminal automatically. HGL will occasionally provide scripts to customers as needed.
Running a Script
To run a script, first we need to make sure a few settings are set properly.
- Show verbose messages in log needs to be selected.
- Send NULL char needs to be de-selected.
- Stop on error response can be either selected, or de-selected.*
*This should usually be de-selected, but may be selected depending on what kind of script you've been given.
Below is an example of how these settings should be set. For older versions of the software, some of the noted settings may not be present.

Next, we'll click on the button with three dots.

Once you click on that button, a file explorer window will open. Navigate to the script file that you want to use.

Select the file and click the 'Open' button. The script will run automatically. The script will output all of the executed commands into the command log.
